SAN PIETRO DI MORUBIO (VR) COMPLESSO INDUSTRIALE IN ASTA IN VIA PALAZZINA

SAN PIETRO DI MORUBIO (VR) COMPLESSO INDUSTRIALE IN ASTA IN VIA PALAZZINA

  • Cod. rif.: GB08062026
  • Prezzo: 768.000,00 €
  • Camere 4
  • Bagni 2
  • 4000 Mq

Descrizione

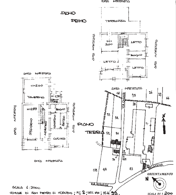
SAN PIETRO DI MORUBIO (VR) VIA PALAZZINA - Piena proprietà di complesso industriale con abitazione. Il lotto in oggetto è formato da un compendio industriale formato da più fabbricati e da un edificio residenziale. Il compendio industriale è composto da capannoni adibiti a locali deposito (in parte in condizioni precarie e in parte di recente realizzazione), laboratori con uffici, tettoie per 660 mq per lo stoccaggio legname e tre autorimesse in muratura. Si segnala che le coperture di tettoie e capannone risultano danneggiate con infiltrazioni. Il materiale interno è compreso nella vendita. L’edificio residenziale di 270 mq si sviluppa su due livelli: il piano terra è suddiviso in ingresso, soggiorno, cucinino, lavanderia, bagno, grande taverna e centrale termica; il piano primo si compone di quattro camere da letto, disimpegno, bagno e un grande terrazzo.

Immobile soggetto a Fall. n.ro 153/2018 - LOTTO 7 - Tribunale di VERONA

PREZZO BASE D'ASTA € 768.000,00

OFFERTA MINIMA DI PARTECIPAZIONE € 768.000,00

PROSSIMO ESPERIMENTO: 08/06/2026

PER VISITE ED INFORMAZIONI CHIAMARE IL 0458012557 O 3491676530

La nostra Agenzia presente da anni sul mercato, ricerca le procedure esecutive e concorsuali fornendo una consulenza tecnico legale, bancaria completa per la partecipazione all'asta per l'acquisto dell'immobile, che comprende:
•Analisi della procedura esecutiva, valutazione del compendio immobiliare.
•Assistenza e Partecipazione all'asta fino alla chiusura dell'operazione e all'assegnazione dell'immobile tramite, decreto di trasferimento o acquisto con rogito notarile.
•Ricerca migliore tipologia di finanziamento con gli istituiti di credito convenzionati con il Tribunale di Verona per l'acquisto dell'immobile in Asta.

Da molti anni garantiamo un servizio sicuro e completo, volto al soddisfacimento della clientela più esigente che spazia dall’investitore al costruttore, dall’azienda multinazionale al privato.

Ci occupiamo con successo di:

•Consulenza finanziaria, con ricerca e valutazione di mutui bancari e/o leasing
•Gestione delle locazioni di patrimoni immobiliari
•Marketing e comunicazione immobiliare
I nostri servizi:
•Multi-pubblicazione dell'offerta immobiliare sui migliori canali online per la massima visibilità e tempi di conclusione più rapidi
•Valutazioni immobiliari
•Certificazioni energetiche, oggi obbligatorie per la vendita e la locazione di tutti gli immobili
•Verifiche di regolarità urbanistiche e catastali
o Registrazioni telematiche contratti di locazione (registrazione, rinnovo, proroga, risoluzione) a 50,00 € + iva
o Registrazioni telematiche contratti di locazione con cedolare secca a 30,00 € + iva

Informazioni

  • Bagni : 2
  • Camere : 4
  • Cucina : Si
  • Soggiorno : Si
  • Taverna : Si
  • Riscaldamento autonomo : Si
  • Giardino : Si
  • Ingresso indipendente : Si
  • Terrazzi : 1
  • Poggioli/Balconi : 1
  • Lavanderia : Si
  • Piano terra : Si
  • Primo piano : Si
  • Totale piani : 2
  • Classe energetica : Non soggetto a Certificazione
  • Stato manutenzione : Buono
  • Numero locali : 6
  • Porticato : Si
  • Animali ammessi : Si
  • Numero portoni : 1
  • Numero accessi carrai : 1

Dati aggiuntivi

  • Mq giardino : 339
  • Totale piani unità : 2

Richiedi informazioni sull'immobile

(*) Campi obbligatori

(Leggi la privacy policy)

** ESPRESSIONE DEL CONSENSO
Procedendo con la compilazione e con l’invio di questo modulo, presto consenso al trattamento dei dati personali forniti con le modalità e nei limiti indicati dall’informativa, ai sensi e per gli effetti dell’art. 7 del GDPR UE 679/2016.